Самарский рыболовный портал SAMARAFISHING.RU Главная страница



Автор Тема: Лето 2023. Вести с открытой воды.  (Прочитано 112441 раз)

0 Пользователей и 2 Гостей просматривают эту тему.

Оффлайн Вит

  • Регистрация: 2011-05-18
  • Сообщений: 843
    • Просмотр профиля
Re: Лето 2023. Вести с открытой воды.
« Ответ #90 : 29 Августа 2023, 13:30:55 »
Переключился на отводной поводок, только одна поклевка, но зато килограммовый окунь.

 ;D
КомпАс 380, Suzuki DT 9.9 AS (15)



Оффлайн maloi

  • Регистрация: 2015-12-28
  • Сообщений: 200
    • Просмотр профиля
Re: Лето 2023. Вести с открытой воды.
« Ответ #91 : 30 Августа 2023, 07:32:51 »
В середине сезона приобрёл новый комплек И начал покарать просторы Волги матушки. Судака, щуку и жереха нашёл, а окуня не могу найти




За столько лет, я только разобрался как фото вставлять с телефона ;D
« Последнее редактирование: 30 Августа 2023, 07:39:56 от maloi »

Оффлайн khryapkin

  • Регистрация: 2018-05-06
  • Сообщений: 549
  • youtube канал "Рыбалка 63"
    • Просмотр профиля
Re: Лето 2023. Вести с открытой воды.
« Ответ #92 : 31 Августа 2023, 12:31:32 »
Рыбалка от 27.08, ходили по затонам Самарке, не чего путного, хотя в этот день были отчеты с русла, не туда пошли.
youtube канал "Рыбалка 63"

За это сообщение сказали спасибо:


Оффлайн khryapkin

  • Регистрация: 2018-05-06
  • Сообщений: 549
  • youtube канал "Рыбалка 63"
    • Просмотр профиля
Re: Лето 2023. Вести с открытой воды.
« Ответ #93 : 04 Сентября 2023, 14:42:55 »
В субботу понял что щука стоит по руслу вдоль камыша
youtube канал "Рыбалка 63"

За это сообщение сказали спасибо:


Оффлайн Серж М.

  • Регистрация: 2023-04-17
  • Сообщений: 17
    • Просмотр профиля
Re: Лето 2023. Вести с открытой воды.
« Ответ #94 : 04 Сентября 2023, 17:02:42 »
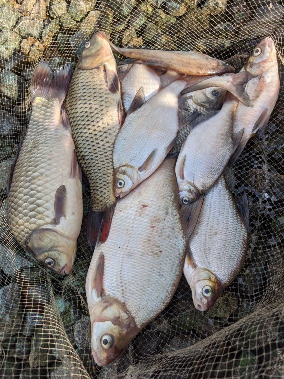
Сегодняшняя рыбалка была щедра на бонусы. Прикорм как обычно Allvega. Состав проверенный на данной локации. Team Allvega Black Gardon и Formula Allvega крупная плотва. Увлажнено жидким ароматизатором Allvega Secretix Turbo Feeder. Наживка мотыль и опарыш. Периодически диповал насадку ароматизаторами концентратами Allvega Essence. Много мелочи было сразу отпущено в родную стихию. А так в целом рыбалкой остался доволен. Рыбку поймал, воздухом дышал. Всем ни хвоста ни чешуи.






 








SimplePortal 2.3.3 © 2008-2010, SimplePortal